Skip To Content

Della Lane

Tazewell, TN 37879
  • $99,900
  • STATUS: Active
  • ON SITE: 94 Days
  • ID#: 1320699
UPDATED: 38 min ago
$99,900
  • 0
    BEDS
  • 3.42
    ACRES
  • 0
    BATHS
  • 0
    1/2 BATHS
Neighborhood:
Type:
Vacant Land / Lots
County:
Area:

School Ratings & Info

Description

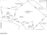
WELCOME TO DELLA LANE LOCATED IN RILEY ACRES 2 !!...DELLA LANE OFFERS FOR SALE LOT 212 R CONSISTING OF 2.66 ACRES & LOT 213 CONSISTING OF 0.76 ACRES WHICH ARE BEING SOLD TOGETHER FOR A TOTAL OF 3.42 ACRES. IF YOU'RE LOOKING FOR A PLACE TO BUILD THAT DREAM HOME ... THEN TAKE A LOOK HERE! THESE LOTS ARE BEAUTIFULLY WOODED, OFFER SPECTACULAR MOUNTAIN VIEWS WITH PLENTY OF PRIVACY, A POSSIBILITY OF VALUABLE STANDING TIMBER, PAVED ROADS, AND UTILITIES ALREADY IN PLACE. RECENTLY SURVEYED AND CENTRALLY LOCATED WITHIN 25 MINUTES TO MIDDLESBORO KY, 15 MINUTES TO LMU IN HARROGATE TN, 45 MINUTES TO KNOXVILLE TN AND 15 MINUTES TO THE PRISTINE WATERS OF POPULAR NORRIS LAKE! ALSO, THIS PROPERTY IS LOCATED IN TAZEWELL TN AND CLOSE TO SCHOOLS, SHOPPING AND MEDICAL. WHETHER YOU BUILD YOUR DREAM HOME OR INVEST FOR THE FUTURE, THIS PROPERTY INVITES YOU TO EXPERIENCE THE VERY BEST OF COUNTRY LIVING, WITH ALL THE BEAUTY THAT EAST TENNESSEE HAS TO OFFER!!

Monthly Payment Calculator



© 2026 East Tennessee REALTORS®. All rights reserved. IDX information is provided exclusively for consumers' personal, non-commercial use and may not be used for any purpose other than to identify prospective properties consumers may be interested in purchasing. Some or all of the listings displayed may not belong to Tennessee Elite Realty. Information is deemed reliable but is not guaranteed accurate by the MLS or Tennessee Elite Realty. Data last updated: 2026-02-06T22:47:40.457.
www.tennesseeeliterealty.com/homes/169539665
Print Image

Della Lane Tazewell, TN 37879

  • Price: $99,900
  • Status: Active
  • On Site: 94 Days
  • Updated: 38 min ago
  • ID#: 1320699
0
Beds
0
Baths
0
½ Baths
3.42
Acres
Neighborhood:
Riley Acres 2
County:
Claiborne
Area:
Tazewell
Property Description
WELCOME TO DELLA LANE LOCATED IN RILEY ACRES 2 !!...DELLA LANE OFFERS FOR SALE LOT 212 R CONSISTING OF 2.66 ACRES & LOT 213 CONSISTING OF 0.76 ACRES WHICH ARE BEING SOLD TOGETHER FOR A TOTAL OF 3.42 ACRES. IF YOU'RE LOOKING FOR A PLACE TO BUILD THAT DREAM HOME ... THEN TAKE A LOOK HERE! THESE LOTS ARE BEAUTIFULLY WOODED, OFFER SPECTACULAR MOUNTAIN VIEWS WITH PLENTY OF PRIVACY, A POSSIBILITY OF VALUABLE STANDING TIMBER, PAVED ROADS, AND UTILITIES ALREADY IN PLACE. RECENTLY SURVEYED AND CENTRALLY LOCATED WITHIN 25 MINUTES TO MIDDLESBORO KY, 15 MINUTES TO LMU IN HARROGATE TN, 45 MINUTES TO KNOXVILLE TN AND 15 MINUTES TO THE PRISTINE WATERS OF POPULAR NORRIS LAKE! ALSO, THIS PROPERTY IS LOCATED IN TAZEWELL TN AND CLOSE TO SCHOOLS, SHOPPING AND MEDICAL. WHETHER YOU BUILD YOUR DREAM HOME OR INVEST FOR THE FUTURE, THIS PROPERTY INVITES YOU TO EXPERIENCE THE VERY BEST OF COUNTRY LIVING, WITH ALL THE BEAUTY THAT EAST TENNESSEE HAS TO OFFER!!
Exterior Features

Parking Features []

Property Features

Association Amenities [] Association Fee 0 Auction YN No Community Features [] Cul De Sac Yes Frontage Type [] Irregular Lot Yes Level Lot Yes Listing Terms CashConventionalNew Loan Lot Features Cul-De-SacRollingWoodedIrregular LotRolling Slope New Financing Cash Yes New Financing Conventional Yes Property Status N/A Property Sub Type Single Family Yes Restrictions Yes Road Frontage Paved Yes Security Features [] Utilities [] View Country SettingMountain View Wooded Lot Yes

Listing information © 2026 East Tennessee REALTORS®.
Listing provided courtesy of Realty Group: .


© 2026 East Tennessee REALTORS®. All rights reserved. IDX information is provided exclusively for consumers' personal, non-commercial use and may not be used for any purpose other than to identify prospective properties consumers may be interested in purchasing. Some or all of the listings displayed may not belong to Tennessee Elite Realty. Information is deemed reliable but is not guaranteed accurate by the MLS or Tennessee Elite Realty. Data last updated: 2026-02-06T22:47:40.457.
 
https://bt-photos.global.ssl.fastly.net/kaar/1280_boomver_1_1320699-2.jpg https://bt-photos.global.ssl.fastly.net/kaar/1280_boomver_1_1320699-2.jpg https://bt-photos.global.ssl.fastly.net/kaar/1280_boomver_1_1320699-2.jpg
Logo
Tennessee Elite Realty
1240 Fox Meadows Blvd, Suite 4
Sevierville TN, 37862